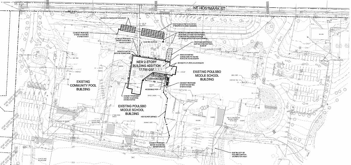
The North Kitsap School District is looking to add an additional building to Poulsbo Middle School to accommodate the expected increase in population and enrollment in the area.
The expansion would be a 17,700 square-foot, two-story facility that would be connected to the school and would include 10 classrooms, according to preliminary plans.
The district is undergoing site development survey work for the project, which will go to architects, NKSD communications coordinator Jenn Markaryan said. The project is still in the preliminary design stage, and there is not yet a cost estimate or timeline for completion.
In February, voters approved a replacement facilities and technology capital projects levy, which includes the PMS expansion along with new gymnasiums at Wolfle and Suquamish elementary schools. The gym designs have been submitted to Kitsap County for approval and construction is expected to start next summer, depending on the timing of permitting approval.
“We are excited to continue the work of improving our facilities through the support of the voter-approved capital projects program,” Markaryan said.
